메뉴 건너뛰기

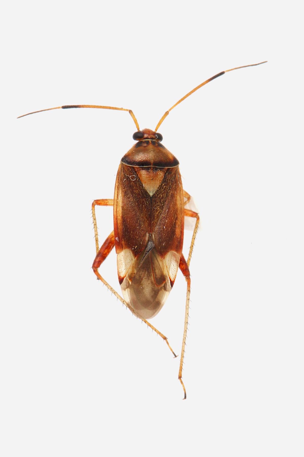
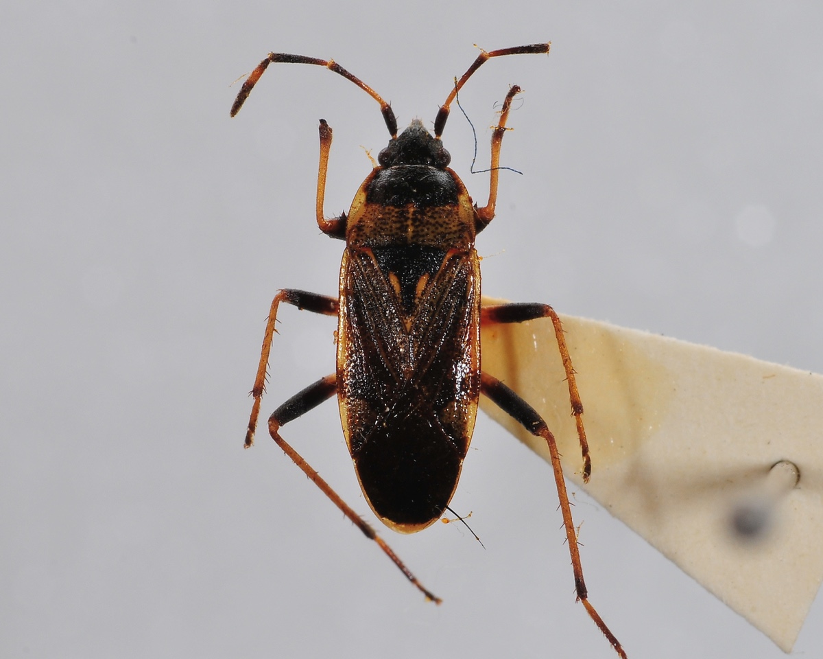
정보 (벌레사진주의)아파트 베란다로 들어오는 바선생이랑 비슷하게 생긴 벌레
6,237 55
2025.06.24 16:32
6,237 55

사진 주의













RuGzrU

yOShty


노린재







화단에 나무가 많은 아파트들 특인데 고층에 살더라도 베란다로 들어옴

특히 노린재는 빛을 좋아해서 빛을 보고 들어옴


바퀴처럼 뭔가 슉슉샥샥 움직이지 않으면 아마 노린재일거임


원덬이는 처음에 바퀴인줄 알고 오밤중에 지랄발광하다가 노린재인줄 그나마 안심함ㅠㅠ


목록 스크랩 (0)
댓글 55
댓글 더 보기
새 댓글 확인하기

번호 카테고리 제목 날짜 조회
이벤트 공지 🔥 [아윤채 X 더쿠] 살롱 디자이너 강추템, #손상모발모여라! '인리치 본딩 크림' 체험단 모집 (100인) 388 01.01 25,696
공지 [공지] 언금 공지 해제 24.12.06 4,384,239
공지 📢📢【매우중요】 비밀번호❗❗❗❗ 변경❗❗❗ 권장 (현재 팝업 알림중) 24.04.09 11,129,577
공지 공지가 길다면 한번씩 눌러서 읽어주시면 됩니다. 23.11.01 12,426,866
공지 ◤더쿠 이용 규칙◢ [스퀘어 정치글은 정치 카테고리에] 20.04.29 34,449,732
공지 정치 [스퀘어게시판 정치 카테고리 추가 및 정치 제외 기능 추가] 25.07.22 1,019,851
공지 정보 더쿠 모바일에서 유튜브 링크 올릴때 주의할 점 781 21.08.23 8,461,839
공지 정보 나는 더쿠에서 움짤을 한 번이라도 올려본 적이 있다 🙋‍♀️ 266 20.09.29 7,386,118
공지 팁/유용/추천 더쿠에 쉽게 동영상을 올려보자 ! 3591 20.05.17 8,587,062
공지 팁/유용/추천 슬기로운 더쿠생활 : 더쿠 이용팁 4012 20.04.30 8,472,012
공지 팁/유용/추천 ◤스퀘어 공지◢ [9. 스퀘어 저격판 사용 금지(무통보 차단임)] 1236 18.08.31 14,304,496
모든 공지 확인하기()
2951048 유머 촬영 중 행복지수 폭발한 윤남노.ytb 16:41 36
2951047 유머 아바타 1편 명장면의 숨겨진 비밀 1 16:40 105
2951046 기사/뉴스 국립중앙박물관 작년 관람객 650만명 돌파…루브르·바티칸 이어 최상위권 16:40 81
2951045 유머 문특 엑소명곡 월드컵으로 몬스터가 우승한 기념으로 쑨디를 크리핀 퇴장시키는 재재 16:39 149
2951044 이슈 李대통령, '페이커' 이상혁·신우석 감독 훈장…"韓 위상 높인 국민대표" 5 16:38 242
2951043 기사/뉴스 ‘흑백요리사2’ 임성근 측, 저작권 침해 경고…“무단 재편집만 200건↑” 2 16:37 937
2951042 유머 간택중이신듯 1 16:36 659
2951041 이슈 새해부터 여친짤로 알티타고 있는 신인 여돌 2 16:34 983
2951040 유머 방탄 진팬이 북해도 휴게소에서 스마트폰을 잃어버린것같다 22 16:33 2,402
2951039 이슈 개그맨 선배들이 물도 못마시게 했다는 허경환 32 16:30 2,949
2951038 이슈 우리집 서열 1위 vs 시댁 서열 1위 18 16:28 2,114
2951037 유머 케이크 살짝 파인거 의도한거 아니야 진짜로? ㅅㅂ 들고계신분 머리모양이랑 같은 위치가 파여잇잖아 5 16:27 2,431
2951036 이슈 <기묘한 이야기(Stranger Things)> 마지막화 스포가 진짜여서 팬들 킹받게 만든 장면 (스포있음) 9 16:27 847
2951035 기사/뉴스 연 9.54%, 5000만원 주는 적금… 255만명 청년이 가입했다 11 16:25 1,847
2951034 유머 사춘기는 프리패스 할거 같은 정지선 아들 15 16:25 1,647
2951033 팁/유용/추천 한파에는 세탁기 돌리지 맙시다 15 16:24 2,629
2951032 기사/뉴스 ‘패륜 사이트’, 54만 명 만의 문제가 아니다 5 16:20 1,583
2951031 이슈 돌판 솔로커리어 최상위라는 지드래곤 음원,음판,투어 성적들 31 16:20 917
2951030 유머 새해부터 꼬추보고간 일왕 부부 20 16:19 4,925
2951029 이슈 아이유 인스타 업뎃 (바이2025) 21 16:17 1,330